by Cristine Lista | Jun 24, 2024 | Health & Nutrition
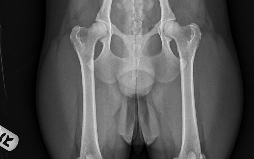
Have you ever heard about Dog Hip Dysplasia? Dog hip dysplasia is a genetic condition that affects the hip joint, where the ball and socket of the hip do not fit together properly. In dogs with hip dysplasia, the joint is loose and unstable, causing the ball to move...